Page précédente
Forum Accueil

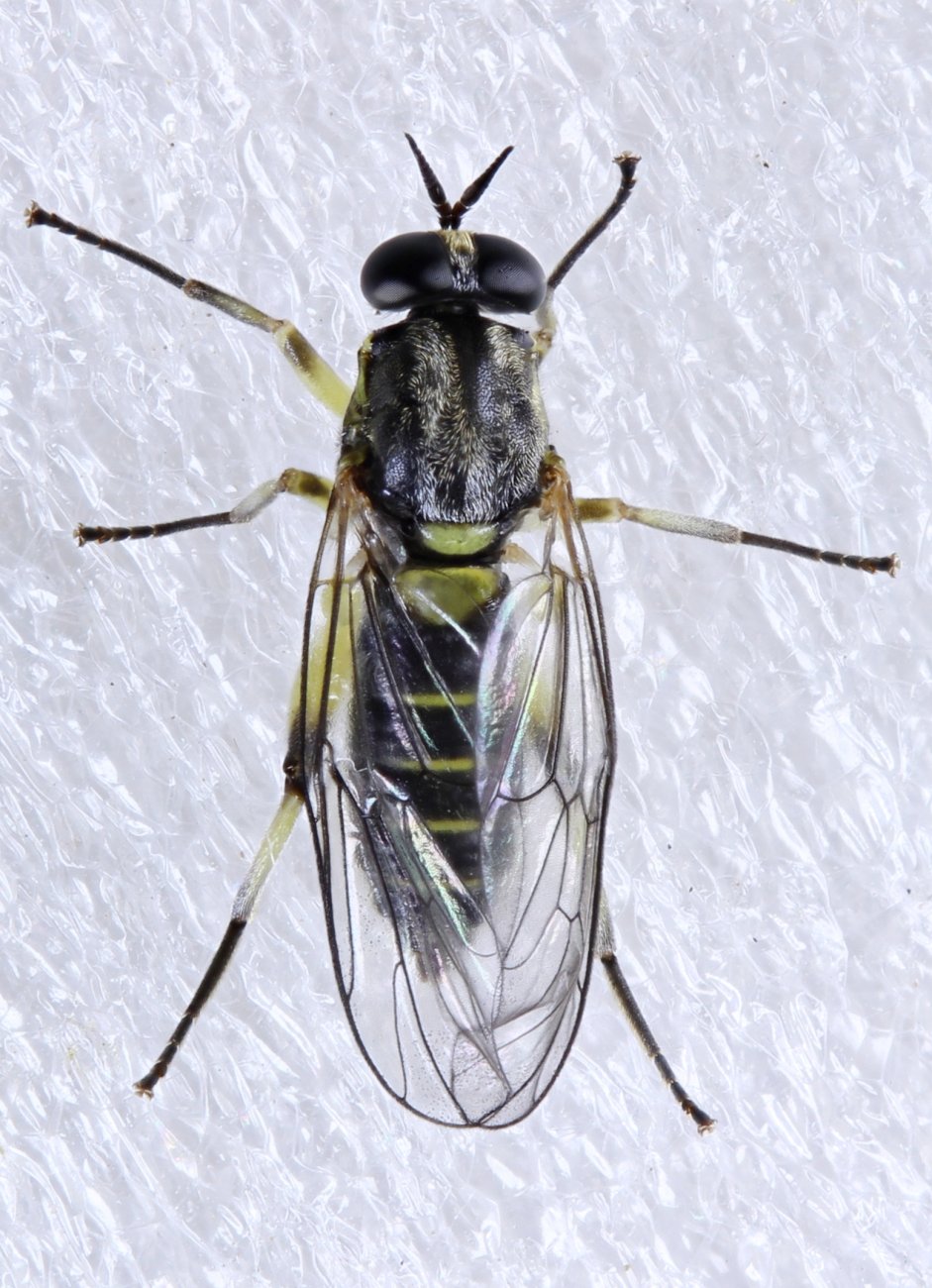
INSECTA > Diptera > Xylomyidae > Solva marginata

Michel Bertrand - Solva marginata - réf. 322916 (941 x 1300 pixels, 211 ko)
Michel Bertrand — Licence CC BY NC
Image 322 916 vue 208 fois depuis son téléchargement — Utilisateurs connectés : 89 — Rechercher la photo sur le forum
Fiche technique — Cliquez sur l'image pour revenir à la page précédente ou pour la fermer.
LMDI — 2002-2023
Affichage plein écran