Back Prev
Next Forum Home

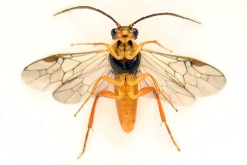
INSECTA > Hymenoptera > Tenthredinidae > Euura pavida

Référence de la photographie : 367 766
Euura pavida (Image de 1500×1000 pixels — 115 ko)

Auteur de la photo : Andrey Ponomarev
INSECTA > Hymenoptera
Famille des Tenthredinidae, Nematinae, Nematini
Euura (Pteronidea) pavida (Audinet-Serville, 1823)
Sexe : male
Taille : -
Pays : Russie
Commune : Topolinyy
Lat. : 55° 46' 52.67'' N (55.7812997)
Long. : 39° 3' 53.86'' E (39.0649615)
Code postal : 142601
Altitude : 119 m
Date de l'observation : 05/04/2025
Commentaires : Pas de commentaires
Mots-clefs : imago-adulte-subimago
Validé par : Catherine Reymonet-Smitten
Date de validation : Janvier 2026

La détermination a été jugée certaine par les administrateurs de la galerie.
L'identification d'une espèce est souvent délicate. Des informations autres que l'habitus sont fréquemment nécessaires (détails morphologiques, pièces génitales, plante-hôte, biotope, etc.). Par ailleurs, l'amélioration continue des connaissances fait qu'une identification, même proposée avec un bon niveau de confiance, peut devoir être reconsidérée. Référez-vous au sujet associé sur le forum pour connaître les conditions dans lesquelles l'identification a été proposée.
Consultez également les limites de l'identification sur photo.
Image vue 8 fois depuis son téléchargement sur le site — Utilisateurs connectés actuellement sur le site : 673 — Page affichée en 2.017 s
LMDI — 2002-2026 — Licence CC BY NC — Certaines coordonnées de latitude et de longitude sont issues de tables fournies par GeoNames.