Back Prev
Next Forum Home

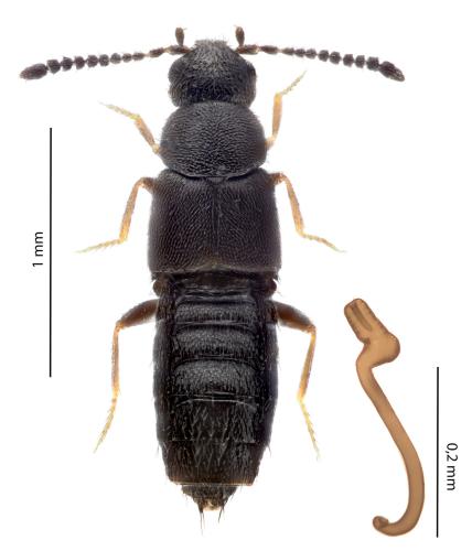
INSECTA > Coleoptera > Staphylinidae > Atheta celata

Référence de la photographie : 365 567
Atheta celata (Image de 1063×1243 pixels — 214 ko)

Auteur de la photo : Jean-Cyril FREEMAN
INSECTA > Coleoptera
Famille des Staphylinidae, Aleocharinae, Athetini
Atheta (Datomicra) celata (Erichson, 1837)
Sexe : F
Taille : 1,7 mm
Pays : France
Commune : Arette
Lat. : 43° 1' 43.58'' N (43.0287740)
Long. : 0° 44' 40.18'' W (-0.7444960)
Code postal : 64570
Altitude : 691 m
Date de l'observation : 17/09/2025
Commentaires : Dans des Pleurotes en voie de décompositoin sur tronc mort de hêtre
Mots-clefs : imago-adulte-subimago, édéage-genitalia
Validé par : Lysbeth d'Alys
Date de validation : Octobre 2025

La détermination a été jugée certaine par les administrateurs de la galerie.
L'identification d'une espèce est souvent délicate. Des informations autres que l'habitus sont fréquemment nécessaires (détails morphologiques, pièces génitales, plante-hôte, biotope, etc.). Par ailleurs, l'amélioration continue des connaissances fait qu'une identification, même proposée avec un bon niveau de confiance, peut devoir être reconsidérée. Référez-vous au sujet associé sur le forum pour connaître les conditions dans lesquelles l'identification a été proposée.
Consultez également les limites de l'identification sur photo.
Financement de la galerie : Faire un don avec Paypal : Don par Paypal
Image vue 71 fois depuis son téléchargement sur le site — Utilisateurs connectés actuellement sur le site : 156 — Page affichée en 2.02 s
LMDI — 2002-2025 — Licence CC BY NC — Certaines coordonnées de latitude et de longitude sont issues de tables fournies par GeoNames.