Back Prev
Next Forum Home

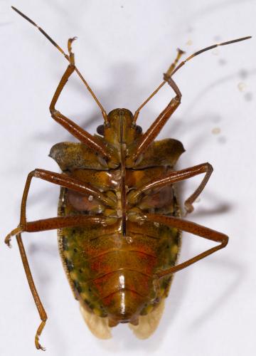
INSECTA > Heteroptera > Pentatomidae > Pentatoma rufipes

Référence de la photographie : 364 982
Pentatoma rufipes (Image de 1081×1500 pixels — 216 ko)

Auteur de la photo : Jérémie Lemarié
INSECTA > Heteroptera
Famille des Pentatomidae, Pentatominae, Pentatomini
Pentatoma (Pentatoma) rufipes (Linnaeus, 1758)
Sexe : NR
Taille : 15.5 mm mesuré
Pays : France
Commune : La Tranche-sur-Mer
Lat. : 46° 21' 56.98'' N (46.3658289)
Long. : 1° 28' 44.33'' W (-1.4789826)
Code postal : 85360
Altitude : 0 m
Date de l'observation : 29/09/2025
Commentaires : Pas de commentaires
Mots-clefs : imago-adulte-subimago
Validé par : Catherine Reymonet-Smitten
Date de validation : Septembre 2025

La détermination a été jugée certaine par les administrateurs de la galerie.
L'identification d'une espèce est souvent délicate. Des informations autres que l'habitus sont fréquemment nécessaires (détails morphologiques, pièces génitales, plante-hôte, biotope, etc.). Par ailleurs, l'amélioration continue des connaissances fait qu'une identification, même proposée avec un bon niveau de confiance, peut devoir être reconsidérée. Référez-vous au sujet associé sur le forum pour connaître les conditions dans lesquelles l'identification a été proposée.
Consultez également les limites de l'identification sur photo.
Financement de la galerie : Faire un don avec Paypal : Don par Paypal
Image vue 87 fois depuis son téléchargement sur le site — Utilisateurs connectés actuellement sur le site : 387 — Page affichée en 0.026 s
LMDI — 2002-2025 — Licence CC BY NC — Certaines coordonnées de latitude et de longitude sont issues de tables fournies par GeoNames.