Back Prev
Next Forum Home

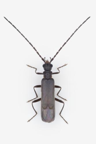
INSECTA > Coleoptera > Cantharidae > Malthodes caudatus

Référence de la photographie : 364 374
Malthodes caudatus (Image de 1000×1500 pixels — 189 ko)

Auteur de la photo : Claude Chavand
INSECTA > Coleoptera
Famille des Cantharidae, Malthininae, Malthodini
Malthodes caudatus Weise, 1892
Sexe : M
Taille : 4,7 mm
Pays : France
Commune : Roisey
Lat. : 45° 23' 18.23'' N (45.3883994)
Long. : 4° 37' 4.846'' E (4.6180129)
Code postal : 42520
Altitude : 1234 m
Date de l'observation : 08/06/2025
Commentaires : Sous le feuillage de hêtre, en bordure de sentier
Mots-clefs : imago-adulte-subimago
Validé par : Lysbeth d'Alys
Date de validation : Septembre 2025

La détermination a été jugée certaine par les administrateurs de la galerie.
L'identification d'une espèce est souvent délicate. Des informations autres que l'habitus sont fréquemment nécessaires (détails morphologiques, pièces génitales, plante-hôte, biotope, etc.). Par ailleurs, l'amélioration continue des connaissances fait qu'une identification, même proposée avec un bon niveau de confiance, peut devoir être reconsidérée. Référez-vous au sujet associé sur le forum pour connaître les conditions dans lesquelles l'identification a été proposée.
Consultez également les limites de l'identification sur photo.
Financement de la galerie : Faire un don avec Paypal : Don par Paypal
Image vue 93 fois depuis son téléchargement sur le site — Utilisateurs connectés actuellement sur le site : 394 — Page affichée en 0.017 s
LMDI — 2002-2025 — Licence CC BY NC — Certaines coordonnées de latitude et de longitude sont issues de tables fournies par GeoNames.