Back Prev
Next Forum Home

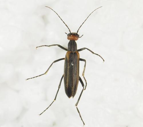
INSECTA > Coleoptera > Meloidae > Epicauta sp.

Référence de la photographie : 339 604
(Image de 956×848 pixels — 42 ko)

Auteur de la photo : Bernard Perthuis
INSECTA > Coleoptera
Famille des Meloidae, Meloinae, Epicautini
Epicauta sp.
Sexe : NR
Taille : 10 mm
Pays : Guyane française
Commune : Kourou
Lat : 5° 9' 46.11'' N (5.16281)
Long : 52° 38' 33.71'' W (-52.6427)
Code postal : 97310
Altitude : NR
Date de l'observation : 31/03/2024
Commentaires : Pas de commentaires
Mots-clefs : imago-adulte-subimago
Validé par : Lysbeth d'Alys
Date de validation : Avril 2024

La détermination a été jugée certaine par les administrateurs de la galerie.
L'identification d'une espèce est souvent délicate. Des informations autres que l'habitus sont fréquemment nécessaires (détails morphologiques, pièces génitales, plante-hôte, biotope, etc.). Par ailleurs, l'amélioration continue des connaissances fait qu'une identification, même proposée avec un bon niveau de confiance, peut devoir être reconsidérée. Référez-vous au sujet associé sur le forum pour connaître les conditions dans lesquelles l'identification a été proposée.
Consultez également les limites de l'identification sur photo.
Financement de la galerie : Faire un don avec Paypal : Don par Paypal
Image vue 163 fois depuis son téléchargement sur le site — Utilisateurs connectés actuellement sur le site : 659 — Page affichée en 2.032 s
LMDI — 2002-2025 — Licence CC BY NC — Certaines coordonnées de latitude et de longitude sont issues de tables fournies par GeoNames.