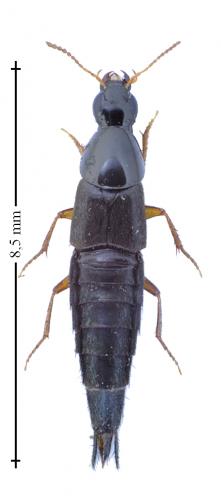
INSECTA > Coleoptera > Staphylinidae > Quedius sp.
Référence de la photographie : 156 823
 (Image de 566×1280 pixels — 180 ko)
Auteur de la photo : David Ignace
INSECTA > 
Coleoptera
Famille des Staphylinidae, 
Staphylininae, 
Staphylinini
Quedius sp.
Sexe : Femelle
Taille : 8,5 mm
Pays : Belgique
Commune : Pont-à-Celles Viesville
Lat : 50° 26' 19.31'' N (50.4387)
Long : 4° 31' 31.44'' E (4.5254)
Code postal : 6230
Altitude : NR
Date de l'observation : 07/02/2016
Commentaires : Tamisage
Mots-clefs : imago-adulte-subimago
Validé par : Fred Chevaillot
Date de validation : Février 2016
La détermination a été jugée certaine par les administrateurs de la galerie.
 
L'identification d'une espèce est souvent délicate. Des informations autres que l'habitus sont fréquemment nécessaires (détails morphologiques, pièces génitales, plante-hôte, biotope, etc.). 
Par ailleurs, l'amélioration continue des connaissances fait qu'une identification, même proposée avec un bon niveau de confiance, peut devoir être reconsidérée.
Référez-vous au sujet associé sur le forum pour connaître les conditions dans lesquelles l'identification a été proposée.
Consultez également les 
limites de l'identification sur photo.
Financement de la galerie : Faire un don avec Paypal : 
 
 
Image vue 367 fois depuis son téléchargement sur le site —  Utilisateurs connectés actuellement sur le site : 796 — Page affichée en 2.03 s
LMDI — 2002-2025 — Licence CC BY NC — Certaines coordonnées de latitude et de longitude sont issues de tables fournies par 
GeoNames.