Back Prev
Next Forum Home

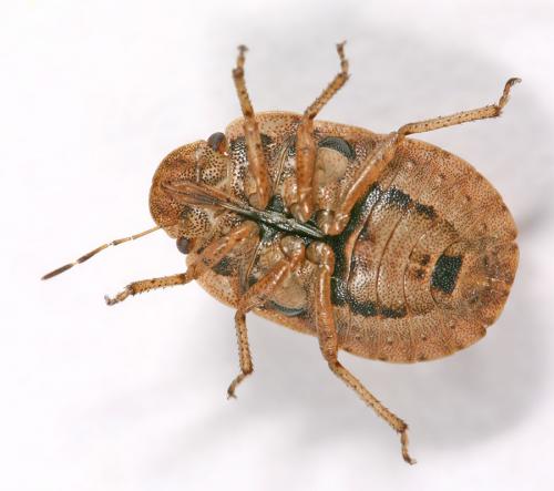
INSECTA > Heteroptera > Pentatomidae > Sciocoris sp.

Référence de la photographie : 13 424
(Image de 900×797 pixels — 107 ko)

Auteur de la photo : Dimitri GEYSTOR
INSECTA > Heteroptera
Famille des Pentatomidae, Pentatominae, Sciocorini
Sciocoris sp.
Sexe : NR
Taille : 6 mm
Pays : France
Commune : Monségur
Lat : 44° 28' 59.87'' N (44.4833)
Long : 0° 52' 59.88'' E (0.8833)
Code postal : 47150
Altitude : 200
Date de l'observation : 05/09/2006
Commentaires : Pas de commentaires
Mots-clefs : imago-adulte-subimago, détail
Validé par : Pierre Duhem
Date de validation : Septembre 2006

La détermination a été jugée certaine par les administrateurs de la galerie.
L'identification d'une espèce est souvent délicate. Des informations autres que l'habitus sont fréquemment nécessaires (détails morphologiques, pièces génitales, plante-hôte, biotope, etc.). Par ailleurs, l'amélioration continue des connaissances fait qu'une identification, même proposée avec un bon niveau de confiance, peut devoir être reconsidérée. Référez-vous au sujet associé sur le forum pour connaître les conditions dans lesquelles l'identification a été proposée.
Consultez également les limites de l'identification sur photo.
Financement de la galerie : Faire un don avec Paypal : Don par Paypal
Image vue 949 fois depuis son téléchargement sur le site — Utilisateurs connectés actuellement sur le site : 270 — Page affichée en 2.017 s
LMDI — 2002-2025 — Licence CC BY NC — Certaines coordonnées de latitude et de longitude sont issues de tables fournies par GeoNames.